센서 좌표계
본 페이지는 센서별 좌표계와 센서 출력 데이터 확인 방법에 대해 기술한다.
IMU 좌표계
6 자유도 계의 값을 측정한다.
( X, Y, Z, roll, pitch, yaw )


IMU 센서 출력 데이터
linear_acceleration
X : IMU 센서의 X 축에 대한 가속도 (전진 + 후진 -)
Y : IMU 센서의 Y 축에 대한 가속도 (Left + right -)
Z : IMU 센서의 Z 축에 대한 가속도 (UP + Down -)
angular_velocity
X : IMU 센서의 X 축에 대한 각속도 (Roll)
Y : IMU 센서의 Y 축에 대한 각속도 (Pitch)
Z : IMU 센서의 Z 축에 대한 각속도(Yaw)
(반 시계 방향 + 시계 방향 -)
orientation
X : Quaternion X 벡터
Y : Quaternion Y 벡터
Z : Quaternion Z 벡터
w : Quaternion w 벡터
GPS 좌표계
UTM 좌표계 사용
UTM52N (WGS84)
EPSG:32652
+proj=utm +zone=52 +ellps=WGS84 +datum=WGS84 +units=m +no_defs
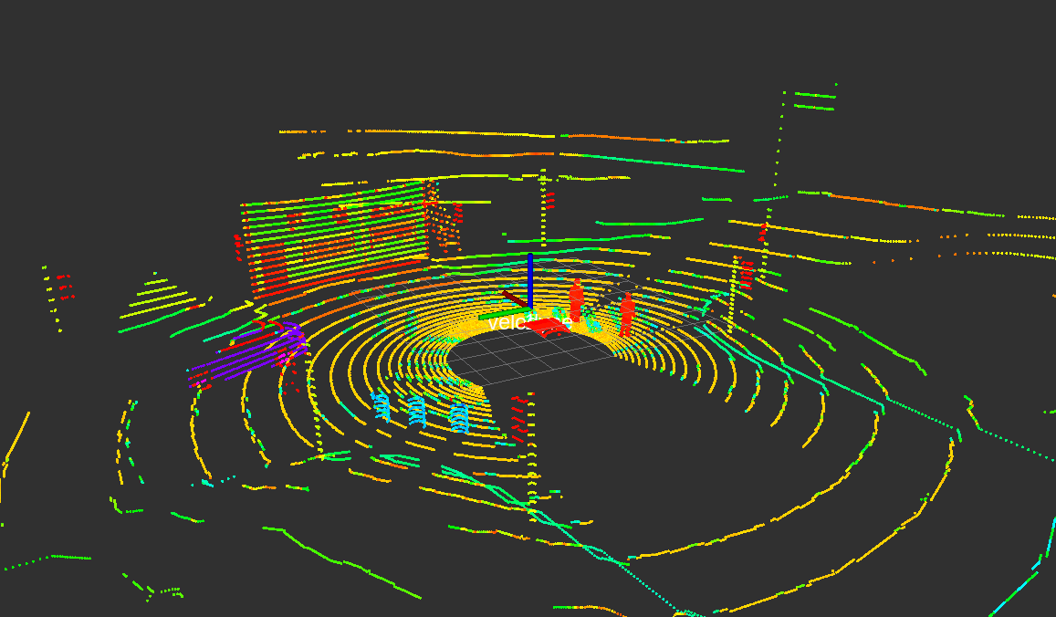
Velodyne LiDAR 좌표계
Forward : y
Right : x
Up : z
Velodyne LiDAR Manual 정보

< 16ch LiDAR >

< 32ch LiDAR >

< 64ch LiDAR >

< 128ch LiDAR >
ROS Axis Orientation
REP 103 (ROS Enhancement Proposals) 에 나타난 ROS 표준 단위를 확인하면 ROS의 기본 단위를 확인할 수 있다. ( https://www.ros.org/reps/rep-0103.html#id14 )
Forward : x
Left : y
Up : z
ROS Velodyne_driver 사용
ROS Velodyne_driver를 통해 데이터 출력 시 기존 Velodyne의 좌표계가 아닌 ROS의 기본 좌표계로 표현된다
Velodyne LiDAR 의 좌표는
(forward : y right : x up : z) 에서 (forward : x left : y up : z) 로 나오게 된다.Simulator 이용한 Veloview 와 ROS Rviz 비교

Simulator 화면

Veloview

Rviz

Veloview Axis

Rviz Axis